贵阳一口气挂出33宗商住用地 总面积189万平方米

来源:头条地产

2022-11-16 20:59

11月11日-12日,贵阳市公共资源交易中心连续挂牌了33宗商、住类土地,出让面积达189.05万平方米

    11月11日-12日,贵阳市公共资源交易中心连续挂牌了33宗商、住类土地,出让面积达189.05万平方米,涉及南明区、观山湖区、云岩区、白云区、花溪区(含经开区)、双龙等区域,将于2022年12月15日至16日公开出让。


南明区:此次挂牌了6宗土地,涉及总面积390060.78㎡,具体情况如下:

G(22)145地块位于南明区后巢乡后巢村,东临南明河,南抵小河污水处理厂,西至花溪大道,北至保利凤凰湾。土地级别为商业五级。地块总用地面积 32056.18 平方米,其中实际出让面积 21059.81 平方米,贵阳工商康养电池厂养护院面积为3206.34平方米,市政道路面积7790.03平方米,计容建筑面积 101508.28 平方米。出让地块面积最终以实际勘测面积为准。

规划用途为商务用地(总部办公用地)。容积率≤4.82,建筑密度为≤40%,绿地率≥20%。起始价为人民币 2463 元/平方米。


图片

图片来源于贵阳公共资源交易中心

G(22)115地块位于贵阳市南明区后巢乡四方河村,东至铁路,西至西二环,南至规划道路,北至规划四方河路。土地级别为住宅五级、商业六级。地块总用地面积 162748.32 平方米,其中实际出让面积 99258.88 平方米,市政道路面积 37041.22 平方米,道路绿化保护带面积 26448.22平方米,计容建筑面积 297776.64 平方米。出让地块面积最终以实际勘测面积为准。

规划用途为居住用地(兼容 10%商业)。容积率不小于 1.0 且不大于 3,建筑密度≤22%,绿地率≥35%,建筑限高≤80m。起始价为人民币 4100 元/平方米。


图片

图片来源于贵阳公共资源交易中心


G(22)116地块位于贵阳市南明区后巢乡,北至四方河路,南至甘平路,东至贵昆高速,西至西二环路。土地级别为商业六级、住宅五级。地块总用地面积 253552.21 平方米,其中实际出让面积 149224.29 平方米,市政道路面积 92636.59 平方米,公共绿地面积 11691.33 平方米,计容建筑面积 449165.113 平方米。出让地块面积最终以实际勘测面积为准。

规划用途为居住用地(兼容 22.4%商业)。容积率不小于 1.0 且不大于 3.01。起始价为人民币 4100 元/平方米。


图片

图片来源于贵阳公共资源交易中心


GD(22)011地块位于贵阳市南明区花溪大道西侧,北邻恒大城市之光、南抵新华职业电脑学院、东至甲秀南路。土地级别为住宅五级、商业六级。该地块为城市更新用地。地块总用地面积 75343.9 平方米,其中实际出让面积 53871.43 平方米,市政道路面积 19083.54 平方米,绿化保护用地面积 2388.93 平方米。计容建筑面积 167001.43 平方米。

规划用途为居住用地(商业 20%)。容积率≤3.1,建筑密度≤25%,绿地率≥30%,建筑限高≤100 米。起始楼面地价为人民币 2651 元/平方米。


GD(22)012地块位于贵阳市南明区花溪大道与西南环线相交处北侧,地块西至花溪大道,南至干平路,东至山水黔城小区。土地级别为住宅四级、商业五级。该地块为城市更新用地。地块总用地面积 49137.79 平方米,其中实际出让面积 37713.16 平方米,市政道路面积 11424.63 平方米。计容建筑面积 116910.8 平方米。

规划用途为居住用地(商业 10%)。容积率≤3.1,综合建筑密度≤30%,综合绿地率≥30%,建筑限高≤100 米。起始楼面地价为人民币 2650 元/平方米。


图片

图片来源于贵阳公共资源交易中心


G(22)131地块位于贵阳市南明区,东至花溪大道、西至规划道路、南至诚景·尚城小区、北至华夏医院。土地级别为住宅五级、商业六级。地块总用地面积 43469.79 平方米,其中实际出让面积 28933.21 平方米,市政道路面积 14536.58 平方米,计容建筑面积 138879.41 平方米。出让地块面积最终以实际勘测面积为准。

规划用途为居住用地(兼容 5%商业)。容积率≤4.8,建筑密度为≤22%,绿地率≥35%。起始价为人民币 2751 元/平方米。


图片

图片来源于贵阳公共资源交易中心


观山湖区:共挂牌3宗土地,出让总面积242200.57㎡,具体情况如下:

G(22)130地块位于贵阳市观山湖区金华园社区,毗邻国际金融中心,林城东路北侧,金朱东路以南,通宝塔以西,石标路以东, 地处省博物馆、图书馆正后方。土地级别为商业四级、住宅二级。地块总用地面积82178.09 平方米,其中实际出让面积 39382.89 平方米,市政道路用地9189.62 平方米,公共绿地面积 33605.58 平方米,计容建筑面积98457.23 平方米。

规划用途为居住用地(97%),兼容商业用地(3%)。容积率≦2.5;建筑密度≦22%;综合绿地率≧35%。起始价为楼面地价人民币5000 元/平方米。


图片

图片来源于贵阳公共资源交易中心


G(22)117地块位于贵阳市观山湖区云潭北路与林城西路延伸段交叉口西北侧。土地级别为商业六级、住宅三级。地块总用地面积 117316.58 平方米,其中实际出让面积 75242.18 平方米,市政绿化面积 12622.76 平方米,计容建筑面积 188105.45 平方米。

规划用途为居住用地(97%),兼容商业用地(3%)。容积率≦2.5;建筑密度≦22%;综合绿地率≧35%。起始价为楼面地价人民币3500 元/平方米。


G(22)118地块位于贵阳市观山湖区云潭北路与林城西路延伸段交叉口西北侧。土地级别为商业六级、住宅三级。地块总用地面积 202682.38 平方米,其中实际出让面积 127575.5 平方米,市政道路用地 43898.89 平方米,市政绿化面积 31207.99 平方米,计容建筑面积 318938.75 平方米。

规划用途为居住用地(97%),兼容商业用地(3%)。容积率≦2.5;建筑密度≦22%;综合绿地率≧35%。起始价为楼面地价人民币3500 元/平方米。


图片

图片来源于贵阳公共资源交易中心


云岩区:共挂牌1宗商、住类用地,出让总面积64493㎡。


G(22)127地块位于贵阳市云岩区金鸭村,北至马王路,西至远洋、中梁项目,南至规划道路,东至规划道路,土地级别为住宅五级、商业五级。地块总用地面积 100424 平方米,计容用地面积 70994 平方米,其中实际出让面积64493 平方米, 计容绿化保护用地面积 4963 平方米,计容轨道保护用地面积 1538 平方米;不计容市政道路用地 29430 平方米。计容建筑面积 248479 平方米。

规划用途为居住用地(73%),兼容商业用地(27%)。容积率≦3.5;建筑密度≦33.8%;综合绿地率≦30.8%;建筑限高结合总图方案审查及城市设计形成高低错落的天际线,合理确定高度。起始楼面地价为人民币 2757 元/平方米。


该地块涉及的幼儿园由竞得人按规划条件通知书规范配建,建成后移交云岩区人民政府管理。涉及的小学、初中、高中学位以资代建费由竞得人承担,云岩区人民政府将结合实际情况统筹实施教育配套设施建设。


图片来源于贵阳公共资源交易中心


白云区:共挂牌9宗土地,出让总面积596171.97㎡,具体情况如下:


G(22)114地块位于贵阳白云区数博大道东、枫林路北,土地级别为住宅四级、商业六级。地块总用地面 194630.9 平方米,实际出让面积145524.06 平方米,市政道路面积 41751.46 平方米,市政绿化面积7355.38 平方米。计容建筑面积 422019.77 平方米。

规划用途为居住、商业(6.8%)。容积率 2.9,建筑密度≤24%;绿地率≥35%;其余主要规划指标及规划设计条件详见规划设计条件预通知书。起始楼面地价为人民币3150元/平方米。

图片

图片来源于贵阳公共资源交易中心


GD(22)014地块位于白云区艳山红镇、青龙大道东侧、白云公园西侧。土地级别为商业六级、住宅四级。该地块为城市更新用地。地块总用地面积 59746.96 平方米,其中实际出让面积 50690.37 平方米,市政道路面积 5497.66 平方米,市政绿化用地面积 2678.27 平方米,市政大沟保护线面积 880.66 平方米。计容建筑面积 126735.925 平方米。

规划用途为居住、商业(≦10%)。容积率>1.0 且≦2.5;建筑密度≦24%;绿地率≧35%。起始楼面地价为人民币 2776 元/平方米。


图片

图片来源于贵阳公共资源交易中心


G(22)133地块位于贵阳白云区牛场乡,产业大道西侧,土地级别为一类乡镇商业。地块总用地面积 10149.99 平方米,实际出让面积 8489.54平方米,市政道路用地面积 841.16 平方米,各类保护用地面积 819.29平方米。计容建筑面积 16979.08 平方米。

规划用途为商务、商业(≦25%)。容积率≦2.0,建筑密度≦50%,绿地率≧25%,建筑限高 30 米;起始楼面地价为人民币1500元/平方米。


图片

图片来源于贵阳公共资源交易中心


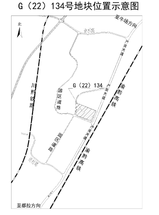
G(22)134地块位于贵阳白云区牛场乡,产业大道西侧,土地级别为一类乡镇商业。地块总用地面积 14995.27 平方米,实际出让面积 11580.99平方米,市政道路用地面积 2238.47 平方米,各类保护用地面积 1175.82平方米。计容建筑面积 18529.584 平方米。

规划用途为商务、商业(≦25%)。容积率≦1.6,建筑密度≦45%,绿地率≧25%,建筑限高 30 米;起始楼面地价为人民币1500元/平方米。


图片

图片来源于贵阳公共资源交易中心


G(22)135地块位于贵阳白云区牛场乡,产业大道西侧,土地级别为一类乡镇商业。地块总用地面积 38368.7 平方米,实际出让面积 37777.34平方米,市政道路用地面积 591.36 平方米。计容建筑面积 45332.808平方米。

规划用途为旅馆、商务(≦40%)。容积率≦1.2,建筑密度≦45%,绿地率≧25%,建筑限高 18 米;起始楼面地价为人民币1800元/平方米。


图片

图片来源于贵阳公共资源交易中心


G(22)136地块位于贵阳白云区艳山红镇,土地级别为住宅五级、商业六级。总用地面积 188386.19 平方米,总实际出让面积 126034.56 平方米,总计容建筑面积 342192.835 平方米。起始楼面地价为人民币2160元/平方米。其中:

⑴地块一:总用地面积 70281.98 平方米,实际出让面积 44103.91 平方米,市政道路面积 18762.62 平方米,绿化保护带用地面积 7415.45 平方米。规划用途为住宅、商业(≯5%),容积率≮1.0、≦2.0,绿地率≧30%,建筑密度≦30%。

⑵地块二:总用地面 118104.21 平方米,实际出让面积 81930.65 平方米,市政道路用地面积 25371.79 平方米,绿化保护带面积 10801.77 平方米。规划用途为住宅、商业(≯5%),容积率≮1.0、≦3.1,绿地率≧35%,建筑密度≦22%。


图片

图片来源于贵阳公共资源交易中心


G(22)137地块位于贵阳白云区数博大道西侧,土地级别为商业六级。地块总用地面积 95120.77 平方米,实际出让面积 67837.9 平方米,市政道路用地 19483.86 平方米,道路绿化带面积 7799.01 平方米。计容建筑面积 111932.535 平方米。

规划用途为商务、商业(30%)、娱乐康体(18%)。容积率≧1.0、≦1.65,建筑密度≦40%;绿地率≧25%:建筑限高 50 米;起始楼面地价为人民币2800元/平方米。


图片

图片来源于贵阳公共资源交易中心


G(22)138地块位于白云区艳山红镇,数博大道西侧、白金一号北侧,土地级别为住宅四级、商业六级。总用地面积 164611.01 平方米,总实际出让面积 117777.68 平方米,总计容面积 383698.15 平方米,起始楼面地价为人民币3050元/平方米。其中:

⑴地块一:总用地面积 7720.67 平方米,实际出让面积 5316.47 平方米,市政道路用地 2404.2 平方米。规划用途为服务设施用地,容积率≦0.8,建筑密度≦30%,绿地率≧35%,建筑高度≦16 米;

⑵地块二:总用地面积 81646 平方米,实际出让面积 63999.88 平方米,市政道路用地面积 15706.992 平方米,市政道路绿化保护带面积 1939.1 平方米。规划用途为居住、商业(10%),容积率≮1.0 且≦2.9,建筑密度≦24%,绿地率≧35%,建筑限高≦80 米;

⑶地块三:总用地面积 75244.34 平方米,实际出让面积 48461.33 平方米,市政道路用地面积 22623.31 平方米,市政道路绿化保护带面积 4159.7平方米。规划用途为商业、商务(40%),容积率≮1.0 且≦4.0,建筑密度≦50%,绿地率≧20%,建筑高度≦260 米。


图片

图片来源于贵阳公共资源交易中心


G(22)139地块位于贵阳白云区氧化铝片区,青龙大道西侧,土地级别为住宅五级、商业六级。地块总用地面积 45722.47 平方米,实际出让面积 30459.53 平方米,市政道路用地面积 12972.23 平方米,各类保护用地面积 2290.71 平方米。计容建筑面积 76271.03 平方米。

规划用途为居住、商业。容积率>1.0 且≦2.5,建筑密度≦24%,绿地率≧35%,建筑限高 54 米。起始楼面地价为人民币2357元/平方米。


图片

图片来源于贵阳公共资源交易中心


花溪区(含经开区):共挂牌10宗土地,出让总面积349729.49㎡,具体情况如下:


GD(22)013地块位于花溪区阳光街道办事处,土地级别为商业五级。该地块为城市更新用地。地块总面积 7917 平方米,其中实际出让面积 7592平方米,市政道路面积 325 平方米。计容建筑面积 30368 平方米。

规划用途为商业用地。规划容积率不大于 4.0,建筑密度不大于 50%,绿地率不小于 20%,建筑限高不大于 54 米。起始楼面地价为人民币 2950 元/平方米。


图片

图片来源于贵阳公共资源交易中心


G(22)129地块位于花溪区阳光街道办事处,北临贵筑路、东临清溪路、西临霞晖路、南临徐家冲路。土地级别为商业五级。地块总面积 4373 平方米,其中实际出让面积 2434 平方米,市政道路面积 1939 平方米。计容建筑面积 6596.14 平方米。

规划用途为商业设施用地。规划容积率不大于 2.71,建筑密度不大于 50%,绿地率不小于 20%,建筑限高不大于 35 米。起始价为人民币 3200 元/平方米。


图片

图片来源于贵阳公共资源交易中心


G(22)119地块位于经开区小孟街道周家寨村,金溪大道南侧,开发大道东侧。地块总面积 53219.22 平方米,其中实际出让面积 31211.44 平方米,可计容公园绿地面积 9501.40 平方米,市政道路面积 12506.38 平方米,计容建筑面积 93639.53 平方米。

规划用途为居住用地(兼容 10%商业)。规划容积率不大于 2.3、建筑密度不大于 24%、绿地率不小于 35%。起始价为人民币 1687 元/平方米。


图片

图片来源于贵阳公共资源交易中心


G(22)120地块位于经开区小孟街道翁岩村,西江路南侧,开发大道东侧。土地级别为住宅六级、商业七级。地块总面积 93233.71 平方米,其中实际出让面积 80346.35 平方米,计容弹性道路 2161.48 平方米,市政道路面积 10725.88 平方米。计容建筑面积 206269.58 平方米。

规划用途为居住用地(兼容 5%商业)。规划容积率不大于 2.5,建筑密度不大于 22%,绿地率不小于 35%。起始价为人民币 1400 元/平方米


地块内涉及的幼儿园、小学、初中、高中学位,由竞得人缴纳以资代建费,经开区结合实际情况统筹实施教育配套设施建设。


图片

图片来源于贵阳公共资源交易中心


G(22)121地块位于经开区小孟街道红艳村、王宽村,航空南路西侧。土地级别为住宅五级、商业六级。地块总面积 22962.76 平方米,其中实际出让面积 15885.29 平方米,市政道路面积 7077.47 平方米。计容建筑面积 39713.23 平方米。

规划用途为居住用地(兼容 20%商业)。规划容积率不大于 2.5,建筑密度不大于 22%,绿地率不小于 35%。起始价为人民币 1702 元/平方米。


图片

图片来源于贵阳公共资源交易中心


G(22)122地块位于经开区小孟街道付官村,花冠路南段北侧,花冠路中段西侧。土地级别为住宅用地六级、商业八级。地块总面积 149106.09 平方米,其中实际出让面积 120231.63 平方米,市政道路面积 28874.46 平方米。计容建筑面积 435238.5 平方米。

规划用途为居住用地(兼容商业 1%)。规划容积率不大于 3.62,建筑密度不大于 22%,绿地率不小于 35%,建筑限高 100 米。起始价为人民币 1400 元/平方米。


图片

图片来源于贵阳公共资源交易中心


G(22)123地块位于经开区小孟街道周家寨村,金溪大道南侧,开发大道东侧。土地级别为商业六级。地块总面积 5635.41 平方米,其中实际出让面积3907.45平方米,市政道路面积1727.96平方米。计容建筑面积9768.625平方米。

规划用途为商业设施用地。规划容积率不大于 2.5,建筑密度不大于 35%,绿地率不小于 25%,建筑限高 80 米。起始价为人民币 1720 元/平方米。


图片

图片来源于贵阳公共资源交易中心


G(22)124地块位于经开区小孟街道红艳村,开发大道东侧,科技路北侧,金溪大道南侧。土地级别为商业六级。地块总面积 53342.8 平方米,其中实际出让面积 36265.6 平方米,市政道路面积 17077.2 平方米。计容建筑面积 126929.6 平方米。

规划用途为商业设施用地。规划容积率不大于 3.5,建筑密度不大于 35%,绿地率不小于 25%,建筑限高 100 米。起始价为人民币 1708 元/平方米。


图片

图片来源于贵阳公共资源交易中心


G(22)125地块位于经开区小孟街道王武村,规划珠江路东侧。土地级别为商业六级。地块总面积 25782.55 平方米,其中实际出让面积 16401.40平方米,市政道路面积 7282.82 平方米,各类保护用地面积 2098.33平方米。计容建筑面积 41003.5 平方米。

规划用途为商业设施用地。规划容积率不大于 2.5,建筑密度不大于 50%,绿地率不小于 25%,建筑限高 80 米。起始价为人民币 1725 元/平方米。


图片

图片来源于贵阳公共资源交易中心


G(22)126地块位于经开区小孟街道,开发大道东侧,科技路北侧,金溪大道南侧。土地级别为商业六级。地块总面积 47892.92 平方米,其中实际出让面积 35454.33 平方米,市政道路面积 9351.96 平方米,防护绿地面积 3086.67 平方米。计容建筑面积 113453.86 平方米。

规划用途为商业设施用地。规划容积率不大于 3.2,建筑密度不大于 50%,绿地率不小于 25%,建筑限高 150 米。起始价为人民币 1702 元/平方米。


图片

图片来源于贵阳公共资源交易中心


双龙航空港经济区:共挂牌4宗土地,出让总面积247846.6㎡,具体情况如下:

SL(22)011地块位于贵州双龙航空港经济区内,东邻机场路、南至龙腾路、北至三道街。土地级别为贵阳市商业六级。地块总用地面积 72738.9 平方米,实际出让用地面积 41280.3 平方米。计容建筑面积 82560.6 平方米。

规划用途为旅馆用地;兼容不大于 49%的其他商务用地。规划容积率≤2.0,建筑密度≤30%,绿地率≥20%(酒店部分绿地率≥35%);建筑限高≤60 米,同时满足机场限高要求。起始价为楼面地价1725 元/平方米。


图片

图片来源于贵阳公共资源交易中心


SL(22)012地块位于贵州双龙航空港经济区内,东邻轻轨 2 号线、南邻中兴西路、西邻龙洞堡大道。土地级别为贵阳市居住五级。地块总用地面积114392.7 平方米,实际出让用地面积 69026.3 平方米。计容建筑面积213981.53 平方米。

规划用途为居住用地。规划容积率≤3.1,建筑密度≤22%,绿地率≥35%;建筑限高≤80 米,同时满足机场限高要求。起始价为楼面地价1500 元/平方米

图片

图片来源于贵阳公共资源交易中心


SL(22)013地块位于贵州双龙航空港经济区内,东邻见龙洞路、南至机场路。土地级别为贵阳市居住五级。地块总用地面积 106503.6 平方米,实际出让用地面积 71049.6 平方米。计容建筑面积 220253.76 平方米。

规划用途为居住用地;其中非住宅占 6%-10%(按照筑建通〔2022〕183 号)执行)。规划容积率≤3.1,建筑密度≤24%,绿地率≥35%;建筑限高≤80 米,同时满足机场限高要求。


SL(22)014地块位于贵州双龙航空港经济区内,北至兴业南路。土地级别为贵阳市居住五级。地块总用地面积 69126.0 平方米,实际出让用地面积66490.4 平方米。计容建筑面积 206120.24 平方米。

规划用途为居住用地;其中非住宅占 6%-10%。容积率≤3.1,建筑密度≤24%,绿地率≥35%;建筑限高≤80 米,同时满足机场限高要求。起始价为楼面地价1500 元/平方米。


图片

图片来源于贵阳公共资源交易中心